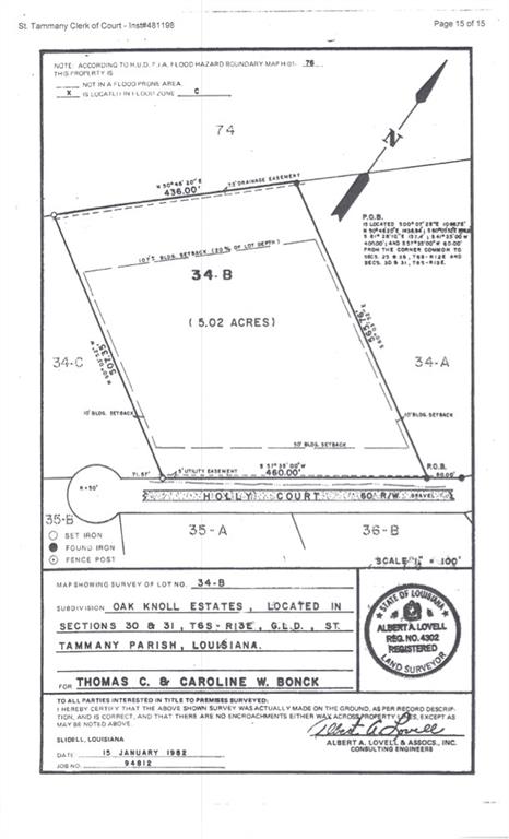
HOLLY CourtAbita Springs, LA 70420
Due to the health concerns created by Coronavirus we are offering personal 1-1 online video walkthough tours where possible.


Tucked away in the peaceful Oak Knoll Estates of Abita Springs, this 5.02 acre parcel presents a wonderful opportunity to craft your dream home or weekend getaway. Surrounded by mature trees and natural beauty, the property offers a sense of calm and seclusion that feels a world apart from the everyday rush. Just a few miles from the heart of Abita Springs, you'll find yourself close to to charming local amenities- from quaint shops and inviting restaurants to the famous Abita Brewing Company. Outdoor enthusiasts will also love the nearby scenic 31 mile trail perfect for biking, walking and exploring the great outdoors.
| 6 months ago | Status changed to Active | |
| 6 months ago | Listing updated with changes from the MLS® | |
| 6 months ago | Listing first seen on site |
Copyright © 2017-present, New Orleans Metropolitan Association of REALTORS®, Inc. All rights reserved. Information deemed reliable, but not verified or guaranteed. Users are responsible for checking the accuracy, completeness, currency, and status of all information.


Did you know? You can invite friends and family to your search. They can join your search, rate and discuss listings with you.